大同新增国家级项目 建设项目规划已公示!
发布时间:2020-12-21 来源:0352房网 编辑:RUI
手机看文章
摘要:号外号外!大同将新增一国家级项目—山西省国家级军粮综合保障基地,目前该项目建设规划许可已公示!具体情况一起来了解下吧!
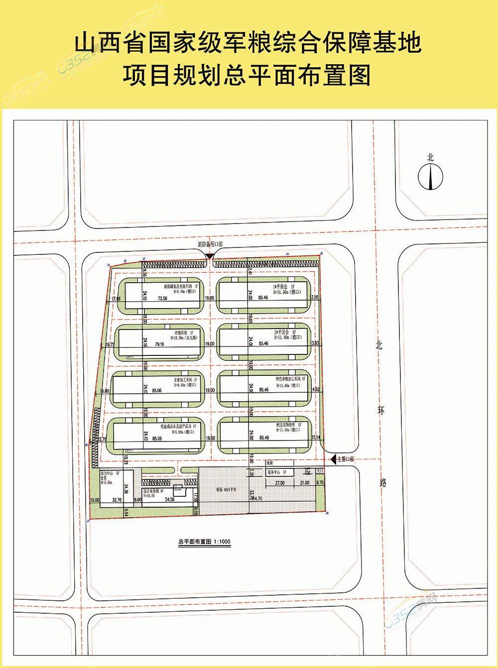
山西省国家级军粮综合保障基地
项目位置:大同市北环路西侧、职业教育中心东北侧
建设单位:大同市军粮供应有限公司
规划用地面积:51786㎡
总建筑面积:21385㎡
建筑系数:45.07%
容积率:0.73
绿地率:20.1%
停车位:102个
公示时间:2020年12月21日-2020年12月29日

规划许可公示

项目规划总平面布置图

选址地址图
以上就是山西省国家级军粮综合保障基地的项目建设规划了!大同新建山西省国家级军粮综合保障基地,是为了落实国家粮食局、财政部、军委后勤保障部展开的“军民融合军粮供应工程”。