御西区域新建综合医院 初步设计方案已公示!
发布时间:2024-05-24 来源:大同市规划和自然资源局 编辑:栗子
手机看文章
摘要:大同市御西区域将新建综合医院,现建设项目初步设计方案已公示,具体情况一睹为快!
建设项目初步设计方案公示
项目简介
为了支持我市医疗事业健康发展,提升御西区域性医疗水平,同时盘活闲置商业设施,提高土地利用率。根据市政府近期工作安排,拟对华阳日月城小区22号、23号、25号楼进行改扩建,建设综合医院。
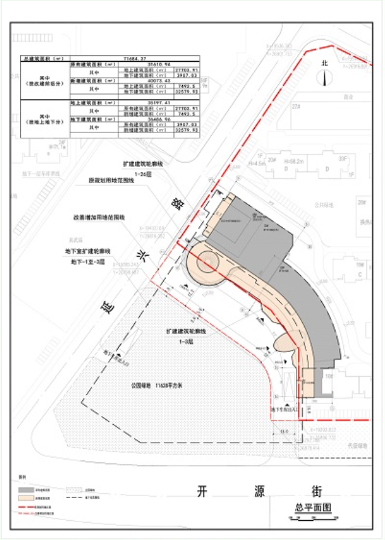
项目四至
东、北均邻华阳日月城小区,西邻延兴路,南邻开源街。
建筑规模
原有建筑面积约31611平方米,拟扩建建筑面积约40074平方米(其中地上扩建7494平方米,地下扩建32580平方米),床位数约600张。

平面方案设计图
公示说明
为了加强建筑工程的监督管理,维护社会公众利益,按照国家相关法律法规的相关规定,现对上述地块的规划情况予以公示,并征求利害关系人的意见。如有异议,请于公示期内及时向大同市规划和自然资源局反映。
规划监督电话:0352-7789831。
公示时间:2024年5月20日-2024年5月31日。
以上就是综合医院建设项目初步设计方案啦!御西区域新建综合医院,技能盘活闲置商业设施,又能提升预习区域性医疗水平,周边居民就医将更方便。