手机看文章
摘要:据相关网站公告,大同市经开区将要新建北魏雕塑艺术文化传承园,总面积约185亩,位于大同市实验中学以东方向,详情整理如下。
建设项目公示牌
同审公示字开发区字2022024号
项目名称:北魏雕塑艺术文化传承园项目
建设单位:大同北魏雕塑艺术创意发展有限公司
设计单位:山西省建筑设计研究院有限公司

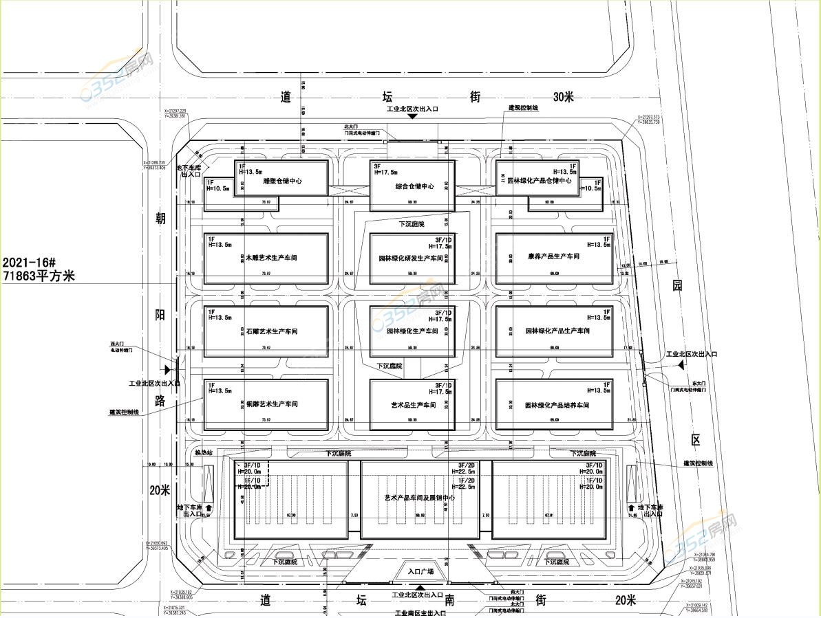
北侧地块
经济技术指标
建设用地面积:71863平方米
总建筑面积:64017.44平方米
容积率:1.01
建筑系数:45.29%
绿地率:14.68%

北侧地块总平面布置图
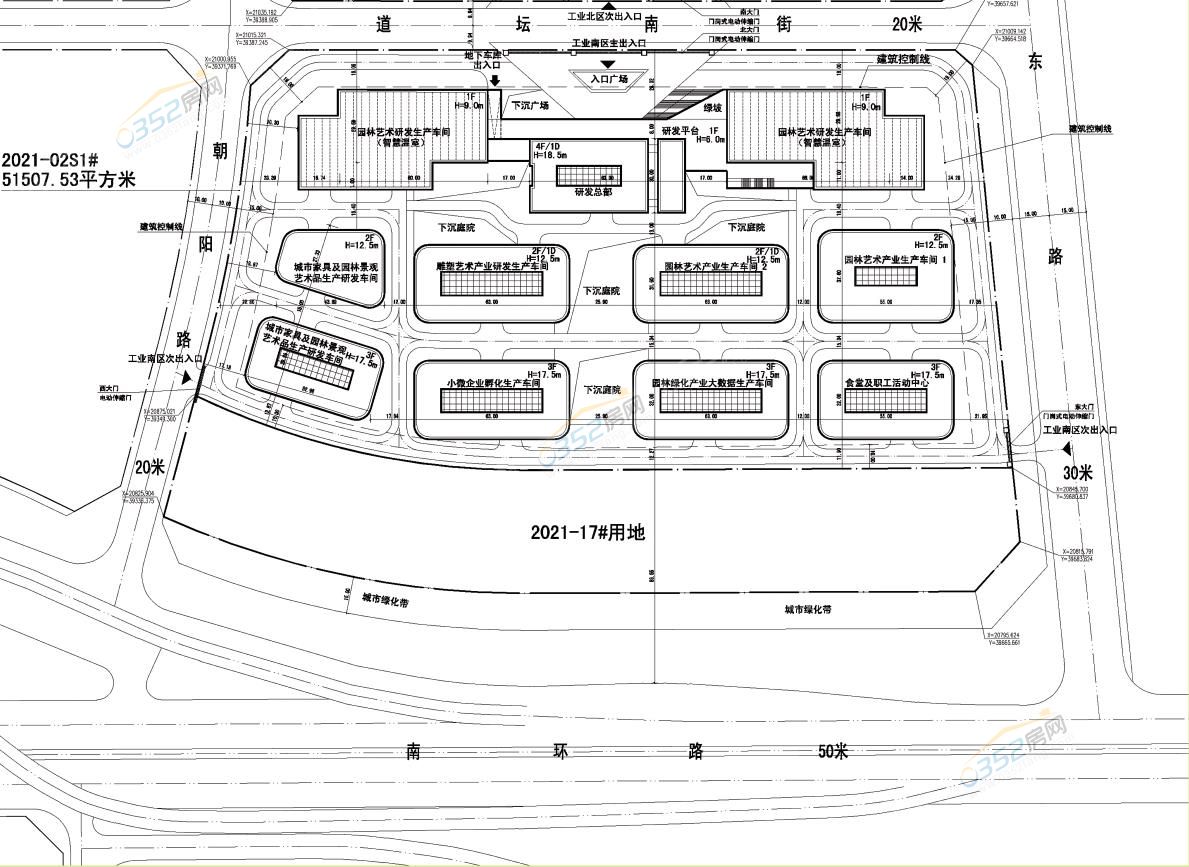
南侧地块
经济技术指标
建设用地面积:51507.53平方米
总建筑面积:67798.61平方米
容积率:1.09
建筑系数:45.59%
绿地率:13.3%

南侧地块总平面布置图

项目选址大致位置
为加强建设工程的监督管理,维护社会公众利益,根据法律法规的有关规定,现将“北魏雕塑艺术文化传承园项目”的规划情况予以公示,如有异议,请在七个工作日内,向我局反映。
规划监督电话:0352-6116013
公示时间:2022年8月4日至2022年8月12日
大同经济技术开发区行政审批服务管理局
以上就是本次新建主题文化园区的全部内容啦,据了解,该园区将主要以研发和生产为主,目前暂未开工建设。更多大同城建规划信息,0352房网都将在“城建规划”频道更新,敬请关注!