大同上水湾·龙园商业公示出炉!快来看看吧!
发布时间:2022-05-05 来源:0352房网 编辑:李亚婷
手机看文章
上水湾·龙园预售许可证信息:2022 晋商房预售同经开区字第2号
本页面的预售许可证信息为当前信息发布时所展示,仅供参考。最新信息请前往楼盘主页查看。
摘要:大同又添一康养示范园,大同经开区康养示范园上水湾龙园项目(商业),一起来看看吧!
咨询电话:400 876 0352 转 0325
项目名称:大同经开区康养示范园上水湾龙园项目(商业)
建设单位:大同翔龙集团房地产开发有限责任公司上水湾龙园项目部
设计单位:重庆合信建筑设计院有限公司
占地面积:17237㎡
建筑面积:63540.85㎡
容积率:2.98
建筑密度:22.54%
绿地率:20.01%

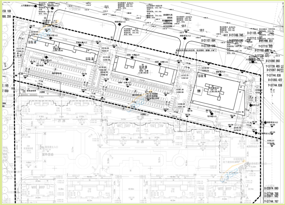
公示图

总平图
以上就是大同经开区康养示范园上水湾龙园项目(商业)的全部内容啦,想了解更多信息,请持续关注0352房网吧!